Description
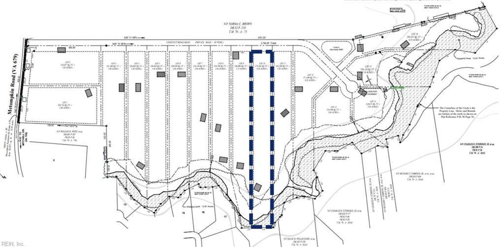
Metompkin Rd Lot #10. One of a kind opportunity to own a Farmette / Estate style property! Build your dream home here, close proximity to Wallops Island, Chincoteague and Onley. Septic system evaluation has been completed. The Gargatha public boat ramp is within 2.5 miles with ocean access. The property is within 8 miles of NASA's Wallops Island Flight Facilities!
-
0BEDS
-
N/AACRES
-
0BATHS
-
01/2 BATHS
School Information
Description
Metompkin Rd Lot #10. One of a kind opportunity to own a Farmette / Estate style property! Build your dream home here, close proximity to Wallops Island, Chincoteague and Onley. Septic system evaluation has been completed. The Gargatha public boat ramp is within 2.5 miles with ocean access. The property is within 8 miles of NASA's Wallops Island Flight Facilities!
